Commercial Sale For Sale in Playas De Rosarito 22700 - MX24744687
QR Code
Basic Details
Property Type:
Commercial Sale
Listing Type:
For Sale
Listing ID:
MX24744687
Price:
$25,000,000
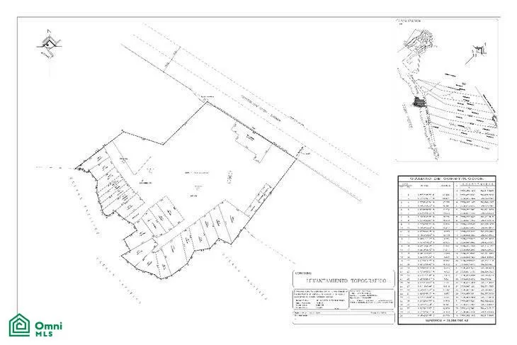
Lot Area:
9.88 Acre
Address Map
Country:
US
State:
BC
Area:
ROS
City:
Playas De Rosarito
Community:
Rosarito Centro
Zipcode:
22700
Street:
México-1D
Street Number:
1
Longitude:
W118° 56' 35.4''
Latitude:
N32° 20' 23''
Agent Info
Baja Real Estate Group | Baja MLS Listings
https://www.owninginmexico.com
+52-(661)-613-2332
+1-(619)-600-5670